Fungio
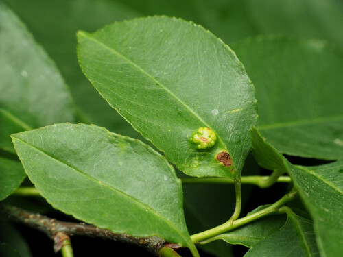
Später Traubenkirschen-Wucherling
Taphrina farlowii
CC
CC
CC
CC
CC
CC
CC
CC
CC
CC
CC
CC
CC
+7
Der
Später Traubenkirschen-Wucherling
(
Taphrina farlowii
) ist ein Pilz .
iNaturalist
Fungio
Schnelle und einfache Pilzsuche
Entdecken
Pilzsuche
Alle Pilze nach Alphabet
Pilze nach Saison
Die 10 besten Speisepilze
Pilze nach Region
Rechtliches
Haftungsauschluss