Fungio
Monardenmehltau
Golovinomyces monardae
CC
CC
CC
CC
CC
CC
CC
CC
CC
CC
+7
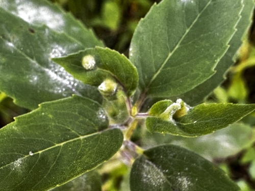
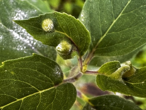
Der
Monardenmehltau
(
Golovinomyces monardae
) ist ein Pilz .
iNaturalist
Fungio
Schnelle und einfache Pilzsuche
Entdecken
Pilzsuche
Alle Pilze nach Alphabet
Pilze nach Saison
Die 10 besten Speisepilze
Pilze nach Region
Rechtliches
Haftungsauschluss