Fungio
Liguster-Thedgonia
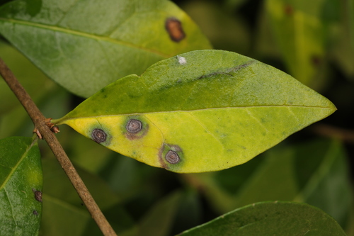
Thedgonia ligustrina
+7
Der
Liguster-Thedgonia
(
Thedgonia ligustrina
) ist ein Pilz .
iNaturalist
Fungio
Schnelle und einfache Pilzsuche
Entdecken
Pilzsuche
Alle Pilze nach Alphabet
Pilze nach Saison
Die 10 besten Speisepilze
Pilze nach Region
Rechtliches
Haftungsauschluss